- Structure et contenu du plan EPC
- La procédure d'obtention d'un plan de situation
- Où aller
- Liste des documents
- Dates d'émission
- Moments de base
- Termes requis
- Objet du document
- Réglementation légale
- Comment commander un plan de situation
- Conseils pour obtenir un plan de site
- Où obtenir
- Contactez le gouvernement local
- Contactez une entreprise
- services publics
- MFC
- Fais le toi-même
- Pourquoi avons-nous besoin et comment obtenir des plans cadastraux, situationnels et topographiques
- Où se procurer un plan situationnel du terrain
- Au MFC
- Par les services publics
- Conditions de réception du service
- Ce qui devrait être inclus dans un plan de terrain situationnel
- Plan situationnel du terrain pour raccordement électrique
- Elaboration d'un plan situationnel d'un objet et d'un terrain
- Plan situationnel de localisation du terrain
- Plan de situation pour le raccordement à l'électricité - échantillon et essence
- Comment faire un plan situationnel d'un terrain pour la gazéification
- Où puis-je avoir
- Quels sont les documents nécessaires
- Exemple de remplissage
- Comment postuler en ligne
- Plan situationnel de localisation du terrain
- Les documents
Structure et contenu du plan EPC
Le plan-schéma des appareils de réception d'énergie se compose de deux parties principales:

- Graphique;
- Technologiquement descriptif.
La partie graphique est réalisée sur papier A3 ou A4 à l'échelle 1:500 et contient les informations suivantes :
- Les limites du lotissement selon le plan cadastral de ce lotissement ;
- Appareils de réception d'énergie connectés à un réseau externe ;
- Composants de l'infrastructure du réseau électrique dans la zone entourant le site ;
- Dispositifs et dispositifs de distribution d'entrée ;
- Schéma des communications électriques souterraines ;
- Emplacement des installations en construction qu'il est prévu de raccorder au réseau électrique.
Lors de la désignation des dispositifs de réception d'énergie, leurs dimensions sont indiquées si elles ne peuvent pas être confondues avec des objets ponctuels. Pour les appareils de l'infrastructure externe et interne, il est nécessaire d'indiquer les coordonnées topographiques tirées des cartes cadastrales de la zone ou d'un projet d'arpentage.
L'infrastructure du réseau électrique externe comprend :

- Supports et lignes électriques ;
- Nœuds de câbles souterrains ;
- Cabines de transformateur ;
- Postes de distribution au sol.
Le schéma graphique doit être réalisé sous la forme d'un fragment d'une carte de la zone avec dessin des limites de la parcelle de terrain, et la superficie totale de la parcelle ne doit pas occuper plus de 25% de la superficie de la feuille, qui montre la partie graphique du plan EPU.
La liaison au territoire s'effectue en traçant les coordonnées topographiques et géographiques globales sur la carte-schéma.
La partie descriptive technologique doit contenir les éléments suivants :
- L'adresse du lotissement ;
- Adresses d'objets immobiliers à proximité ;
- Paramètres techniques des dispositifs de distribution d'entrée ;
- Latitude et longitude des points limites du lotissement et des éléments d'infrastructure importants ;
- Paramètres de consommation d'énergie EPU ;
- Routes et allées.
Il est important de se rappeler que le plan EPU doit montrer la connexion entre les dispositifs de réception de l'alimentation et l'infrastructure du réseau électrique externe, et la partie descriptive technique doit contenir les caractéristiques physiques d'une telle connexion.
Le plan des appareils récepteurs d'énergie doit être accompagné d'une note d'accompagnement indiquant les données de sortie de l'entrepreneur et certifiée par la personne responsable.
Vous pouvez télécharger un exemple de plan pour l'emplacement des appareils de réception d'alimentation ici.
La procédure d'obtention d'un plan de situation
Dans certaines colonies, les autorités de la ville interdisent la participation de tiers, dans d'autres, seules les institutions commerciales sont impliquées dans la création du plan. Vous pouvez établir vous-même un schéma après vous être familiarisé avec les exigences administratives de ce document.
Où aller
Si l'administration locale est impliquée dans la formation du schéma situationnel, le paquet de documents est transféré au service d'urbanisme de la commune. La demande peut être soumise par l'intermédiaire d'un représentant muni d'une procuration notariée, par l'intermédiaire du MFC, ou envoyée par la poste (courrier recommandé).
Le plan de parcelle peut être trouvé indépendamment par le numéro cadastral sur le site Web Rosreestr dans l'onglet "Carte cadastrale publique". Si un lotissement est affiché sur une carte virtuelle, le document est imprimé et utilisé à des fins de référence. Il ne peut pas être utilisé comme officiel, car il ne contient pas d'informations complètes et ne répond pas aux exigences.
Liste des documents
Les documents suivants sont requis pour obtenir une coentreprise :
- extrait de l'USRN ;
- carte d'identité du demandeur;
- certificat d'enregistrement des bâtiments situés sur le site ;
- les titres de propriété des terrains et des constructions ;
- déclaration;
- une procuration certifiée par un notaire (si le représentant du propriétaire en fait la demande).
Un formulaire de demande est fourni au MFC ou à la municipalité. L'appel précise l'objet de la demande et la méthode d'obtention du plan fini.
Dates d'émission
Lors de la demande à la municipalité, la demande est considérée de 7 à 10 jours. En cas de soumission de documents via le MFC, le délai d'attente augmente de 2 à 4 jours ouvrables.
Si un bureau d'architecture ou une institution de conception spécialisée est impliqué dans la formation du projet, le délai d'exécution est déterminé par le contrat.
Moments de base
Considérer les spécificités du plan situationnel d'un terrain à gazéifier, les termes et définitions nécessaires à la compréhension, l'objet du document, le plan situationnel d'un terrain à gazéifier d'un immeuble d'habitation, ainsi que le cadre législatif de celui-ci publier.
Termes requis
| Gazéification | Conduite et connexion de réseaux d'ingénierie de gaz au site et à la maison à usage domestique |
| Numéro cadastral | Le numéro unique du site, qui est attribué à la suite de son enregistrement par l'État |
| Contours des lots | Les limites du terrain tracées par un spécialiste, à l'intérieur desquelles un emplacement clair des objets et des bâtiments sur le site est dessiné |
| Coordonnées | Indications numériques précises de la localisation du site, conformément aux données satellitaires |
| Plan de délimitation | Schéma de la parcelle avec la désignation des coordonnées et des contours de la parcelle |
| Plan d'implantation d'un terrain | Schéma de l'attribution des terres et de la zone adjacente, tandis que l'enquête a été faite d'en haut |
Objet du document
Le plan de situation est réalisé à vol d'oiseau, les contours du lotissement, ainsi que son rattachement à un emplacement précis, doivent être bien visibles sur celui-ci.
De plus, le plan doit indiquer tous, sans exception, les objets situés à proximité du site - routes, autoroutes, réseaux de services publics, voies de transport.
Les bâtiments sur le plan doivent avoir des données pertinentes sur l'année de construction et de mise en service, les noms des rues et des ruelles, le nombre de bâtiments sur la rue et le nombre d'étages de la maison.
Le propriétaire reçoit un schéma de situation d'un terrain en référence à un certain territoire, complété par une copie du plan général du site.
Le schéma est utilisé dans les cas suivants :
| Ce document est obligatoire | Dans le processus de transactions immobilières, puisque l'acheteur doit être conscient non seulement de la propriété elle-même, mais également des parcelles voisines |
| Les sociétés de gestion exigent un plan de situation | En cas de raccordement de gaz et d'électricité au site |
| Si le propriétaire du lotissement souhaite construire un immeuble résidentiel | Sur votre site, ce schéma devra être présenté aux collectivités locales. |
Le plan de situation doit inclure les données suivantes :
- l'adresse exacte du terrain;
- tous les bâtiments adjacents avec des données précises sur le nombre d'étages ;
- noms des rues voisines ;
- le plan doit indiquer les points cardinaux sous forme de flèches ou de pointeurs ;
- le niveau d'éclairage du terrain;
- emplacement clair des réseaux d'ingénierie et des communications ;
- données personnelles du client;
- signature personnelle et sceau du fonctionnaire qui a effectué les travaux d'élaboration du schéma.
Ce code se compose de 19 chiffres, chacun d'eux contient des informations spécifiques sur la propriété - emplacement, quartier, rue et autres données.
Le numéro cadastral est utilisé comme un identifiant spécifique qui aide à résoudre les litiges et les conflits liés à la délimitation des contours du terrain.
Le plan du site est un dessin graphique d'un terrain avec des limites précises.
Pour le recevoir, vous devez remplir une demande contenant les données suivantes :
- les données personnelles du demandeur ;
- adresse du lieu de résidence et numéro de téléphone en cas de besoin de contact;
- l'emplacement exact du terrain;
- la superficie et les contours du site ;
- la base et le but de l'utilisation du système.
Un refus d'émettre un plan de situation peut être émis dans de tels cas - si la demande ou la documentation contient de fausses données ou si la personne qui soumet la demande n'a pas de droit légal sur le terrain.
Pour dessiner les contours du lotissement, vous devrez payer 600 roubles. Un plan est préparé dans un délai de 1 à 2 jours, en fonction du nombre de demandes d'employés de l'organisme d'État.
Cette trousse doit contenir un schéma de situation avec la référence requise à l'emplacement.
Et pour vous connecter au réseau électrique, vous aurez également besoin de données ces dernières années sur les travaux géodésiques effectués sur le site.
Réglementation légale
Cet acte réglementaire définit toutes les exigences et caractéristiques de raccordement des sites aux réseaux de gaz, les spécificités d'application aux organismes gouvernementaux.
De plus, les actions des citoyens sont prescrites en cas d'absence de conduite de gaz à proximité immédiate du site, et des actions en cas de refus de gazéifier le lotissement.
Dans chaque région de la Fédération de Russie, certaines réglementations des autorités locales doivent être suivies lors de l'élaboration d'un plan de situation pour la gazéification d'un terrain.
Comment commander un plan de situation
Le plan situationnel du terrain est délivré sur la base d'une demande reçue du propriétaire ou de l'exploitant du terrain. Les candidats peuvent être des personnes physiques ou morales (leurs mandataires conformément à la charte d'une personne morale ou un entrepreneur individuel à titre personnel).
Si vous voulez savoir comment résoudre votre problème particulier, veuillez utiliser le formulaire de consultant en ligne ou appeler :
- Moscou : +7 (499) 110-33-98.
- Saint-Pétersbourg : +7 (812) 407-22-74.
Une demande de délivrance d'un plan de situation peut être présentée personnellement à une personne physique ou par l'intermédiaire de son représentant légal et transmise par courrier recommandé ou par voie électronique. Si les documents sont transmis par l'intermédiaire d'un représentant d'une personne physique ou morale, il doit disposer d'une procuration certifiée, ainsi que d'un passeport ou d'un autre document d'identification.
La réglementation de la fourniture de services publics varie selon les régions. Chaque municipalité doit élaborer sa propre réglementation pour l'émission d'un plan de situation aux citoyens. Une application pour l'émission d'un plan de situation est développée sous forme libre. Il doit contenir :
- nom complet de la personne;
- lieu de résidence d'un particulier;
- numéro de contact;
- l'adresse et la localisation du site pour lequel le plan est demandé ;
- numéro cadastral, superficie et catégorie du site;
- l'objet de l'émission du plan de situation (indication de l'autorité qui a demandé ce document).
Pour les personnes morales, le nom complet et abrégé, sa forme organisationnelle et juridique, le TIN, le KPP, l'adresse réelle et légale sont prescrits.
La demande doit également indiquer le mode privilégié d'obtention du résultat : en personne, par l'intermédiaire d'un représentant ou par la poste. La demande doit être enregistrée le jour de la demande. Les délais d'examen de la documentation soumise sont en moyenne de 7 à 10 jours calendaires. Si la demande a été soumise par l'intermédiaire du MFC, les conditions de délivrance du plan de situation du site peuvent être retardées de 2 à 3 jours ouvrables. Ce temps est nécessaire pour organiser la livraison par courrier de la demande et des documents au MFC.
La demande doit être accompagnée de :
- le passeport;
- un contrat de bail, une décision de cession de l'emplacement en viager gratuit ou en héritage, une attestation de propriété ;
- ÉTAIN;
- SNILS ;
- extrait de l'USRN.
Le plan situationnel du terrain délivré par l'administration comprendra trois parties :
- Design, qui indique une représentation schématique du site.
- Analytique, qui contient une indication de l'objet et de ses composants.
- Insolation, dans laquelle l'éclairage des parcelles est prescrit.
Dans le plan de situation, des paramètres tels que l'adresse du site, une indication des lignes de construction et des points cardinaux, des objets immobiliers favorables et défavorables, des bâtiments et leur nombre d'étages, des noms de rue, l'emplacement des réseaux d'ingénierie, des indicateurs prévus, les données du client et de l'entrepreneur sont obligatoires.
Il est extrêmement rare que les autorités municipales refusent d'émettre un plan de situation. Les motifs d'une décision négative peuvent inclure :

- dépôt d'une demande un jour non ouvrable;
- mise à disposition de documents illisibles :
- erreurs factuelles dans la demande ;
- présentation d'une demande par une personne qui n'était pas autorisée à la présenter;
- découverte du fait de la falsification des informations ;
- l'absence dans la demande d'indication du nom complet du demandeur, de son adresse postale pour l'envoi d'une réponse.
Si le demandeur s'est vu refuser la délivrance d'un plan de situation ou si les autorités ont retardé la délivrance du document, le propriétaire du site peut faire appel de la décision auprès d'une autorité supérieure.
Conseils pour obtenir un plan de site
La liste des documents dépend largement des régions. Vous devrez travailler un peu et demander un plan dans lequel vous indiquez l'emplacement du site, sa superficie et indiquez le but de la délivrance du document. Après avoir terminé toutes les procédures, vous pouvez attendre en toute sécurité l'heure fixée pour recevoir le plan.
Astuce: sur un portail spécial des services publics (gosuslugi.ru), vous pouvez postuler en ligne à tout moment pour recevoir un plan de situation. Il vous sera proposé une liste complète et détaillée de la documentation qui doit être collectée afin de recevoir un plan.
Le plan doit inclure :
- Toutes routes et passages.
- Cours de récréation.
- Communications.
- Zones de sécurité.
Les plans montrent une analyse d'inventaire dans la conception et une analyse d'insolation montrant l'éclairement des zones du site. Tout cela est nécessaire pour qu'à l'avenir, il soit possible de construire avec compétence une maison, un garage, un bain public et de créer une zone de loisirs.
Où obtenir
Il y a 5 façons d'obtenir un plan :
Contactez le gouvernement local
Si vous savez où vous procurer un plan d'implantation du terrain (généralement le service ou le service d'architecture de la commune concernée), déposez une demande en précisant :
- NOM ET PRÉNOM. et lieu de résidence du demandeur;
- adresse, numéro cadastral et superficie du terrain;
- une liste des structures enregistrées érigées sur le terrain, à la fois résidentielles et non résidentielles ;
- la raison pour laquelle vous avez besoin d'une coentreprise : conception, gazéification, électrification.
La demande doit être accompagnée d'un ensemble de documents confirmant le droit de propriété foncière.
Contactez une entreprise
Vous fournissez les mêmes documents, mais les spécialistes de l'entreprise feront pour vous les demandes nécessaires, rédigeront les documents et vous remettront un plan de situation, qui sera ensuite fourni à tout organisme impliqué dans la conception ou la pose des communications.
Habituellement, une coentreprise est commandée avec d'autres documents (par exemple, lors de l'arpentage effectué par des ingénieurs cadastraux). Le coût du service est de 6 000 à 15 000 roubles, selon l'emplacement du terrain et les appétits de l'entreprise.
services publics
Si vous ne savez pas où déposer les documents, commandez un plan situationnel du terrain à l'adresse en ligne via le site internet du Service de l'Etat. Pour cela, inscrivez-vous sur, entrez votre compte personnel et si votre commune offre un tel service, suivez les instructions sur le site. Les documents dans ce cas sont soumis sous forme numérisée.
MFC
Ici, vous pouvez demander un plan de situation, mais vous devez préciser si votre MFC fournit un tel service.
Avec l'une des options, le délai de fourniture du service est de 10 jours (lorsqu'il est soumis via le MFC - plus 2 jours pour l'envoi de documents), le document est délivré gratuitement.
Fais le toi-même
Cette méthode convient si vous avez les bonnes compétences et le bon logiciel. Mais gardez à l'esprit qu'une coentreprise auto-créée ne peut être utilisée qu'à des fins d'information, par exemple, pour le soutien informationnel des transactions d'achat et de vente.
Pourquoi avons-nous besoin et comment obtenir des plans cadastraux, situationnels et topographiques
Le citoyen reçoit le plan après 10 jours ouvrables. Mais la pratique montre que dans la plupart des cas, les informations contenues dans le cadastre foncier ne sont pas suffisantes pour émettre un plan cadastral, car les terres étaient autrefois enregistrées selon un schéma simplifié. Par conséquent, le demandeur reçoit un plan entre ses mains, dans lequel il est consigné que les autorités du cadastre et de la cartographie ne disposent d'aucune information ou demandent des éclaircissements.
C'est intéressant : SNT peut-il vendre des terres publiques
En plus d'un tel document, le demandeur reçoit une liste de documents supplémentaires qui doivent être collectés et soumis pour résoudre le problème avec les autorités cadastrales. La liste des documents comprend notamment le « Descriptif du terrain », qui peut être obtenu dans le cadre des travaux de gestion foncière. Après leur exécution et la réception de la "Description", tous les documents sont soumis à Rosreestr, et après un mois, le demandeur reçoit un plan cadastral moderne et mis à jour et un extrait, qui doit contenir les éléments suivants :
Où se procurer un plan situationnel du terrain
Pour commander un plan de situation, veuillez contacter :
- au MFC;
- au gouvernement local;
- en ligne, via le service "Gosuslugi" ;
- à une organisation géodésique.
Ils n'ont pas le droit de refuser de créer une coentreprise en présence d'un ensemble complet de documents et d'une demande correctement rédigée. En cas de décision négative sans motif, ils s'adressent aux autorités supérieures avec une plainte pour violation des droits civils.
Au MFC
Les centres multifonctionnels acceptent les clients sur rendez-vous ou selon le principe du premier arrivé, premier servi. Un ensemble standard de documents est requis. L'avantage d'appliquer ici est que vous pouvez suivre l'exécution : comme lors du suivi d'un colis postal. Si le document est préparé plus tôt, le client du centre MFC le verra.
Par les services publics
Le plan de situation peut être obtenu auprès des Services de l'Etat. Pour ce faire, vous devez effectuer un certain nombre d'actions.
- Inscrivez-vous sur le service, connectez-vous avec votre compte.
- Remplissez le formulaire, envoyez une copie du passeport et des titres sous forme scannée.
- Indiquez la méthode d'obtention du résultat: à l'adresse, par e-mail, en personne.
- Attendez la notification de papier prêt.
Si le bureau est enregistré pour une personne et qu'une autre personne soumet des demandes, une procuration certifiée par un notaire sera requise.
Conditions de réception du service
Le document doit être préparé dans les 10 jours calendaires à compter de la date de la demande. Retarder le processus est une violation des droits civils.
Ce qui devrait être inclus dans un plan de terrain situationnel
- Bien sûr, il est obligatoire d'avoir l'adresse exacte de tout bâtiment, afin de ne pas induire les autorités en erreur, etc.
- L'absolu, qui fait partie intégrante de ce type de plan, est la disponibilité complète des données sur les limites du site.
- Complètement toutes les informations sur les bâtiments ou les structures, s'il s'agit d'un plan de situation à grande échelle, à savoir des informations de ce type, telles que le nombre d'étages, les rues associées, toutes sortes de routes et autoroutes qui sont à proximité du site , etc.
- Une foule d'informations sur les surfaces de données décrites dans le plan de rue, qui comprend absolument toutes les informations, de la présence dans une décharge au nombre de restaurants à proximité d'un certain rayon.
- Le dernier facteur de ce large éventail est la présence obligatoire de panneaux indiquant les réseaux installés (hydraulique, électricité, gaz, etc.), ainsi que l'ensemble des travaux réalisés sur ce site ces derniers temps.
Exemple de plan de situation
PLAN DE SITUATION
Le nom de cet objet : Un immeuble répondant pleinement aux normes d'un immeuble résidentiel ;
L'adresse de l'objet lui-même: la ville de Novovoronezh, rue Kalyakin, maison 27 "A";
Quartier : Quartier Nord ;
Département dans lequel le bâtiment est situé : VAO ;
Le compilateur de l'application : une personne purement physique, Popov Alexander Artemovich ;
But de la compilation : Le but est élémentaire, je vais commencer à en construire un et une petite maison de campagne, pour qu'il y ait un endroit pour se détendre. Je vous demande de prendre un peu de temps et de regarder le plan de situation de mon site dans les archives municipales de la ville.
Ceci conclut la partie officielle du contrat, vous devez insérer une copie du plan déjà fait à l'avance, s'il existe déjà, afin que la demande soit complète. Sinon, les autorités supérieures peuvent trouver une faute en raison d'informations incomplètes.
Plan situationnel du terrain pour raccordement électrique
Cliquez à nouveau sur la carte de votre terrain pour faire disparaître le menu.Cherchez attentivement le bouton Impr écran sur le clavier et appuyez dessus. Je dois dire que ce bouton magique peut être appelé différemment et "PrnScr" et "PrintScr" et "PSc" et quelques autres options, mais l'essence est la même.
Si vous utilisez un ordinateur portable, la fonctionnalité du bouton d'impression d'écran sera très probablement disponible en appuyant simultanément sur le bouton de fonction - «Fn» et «PrnScr». Habituellement, le bouton "Fn" est quelque part sur la gauche, en bas, et "PrnScr" est sur la droite en haut du clavier.
Ici, la capture d'écran est copiée dans le presse-papiers, maintenant ouvert, par exemple, Paint - il est disponible dans toutes les versions des systèmes d'exploitation Microsoft et appuyez simultanément sur Ctrl et V. Sélectionnez ensuite uniquement la partie souhaitée de l'image et appuyez sur Ctrl et C en même temps.
Nous ouvrons notre MS Word préféré ou un écrivain OO similaire et entièrement gratuit, imprimons le «plan de localisation EPU» en haut et appuyez simultanément sur Ctrl et V. Il reste à écrire les données de passeport du demandeur au MOESK pour la connexion électrique au bas du document. C'est tout - le plan EPU - est prêt. Imprimez et signez.
Elaboration d'un plan situationnel d'un objet et d'un terrain
Si ce n'est pas le cas, alors, très probablement, vous devrez encore faire une enquête, car le dessin doit être fait sans faute sur les matériaux de la base topographique, ce qui est actuellement pertinent.
Ce plaisir n'est pas du tout bon marché - il peut être qualifié d'assez cher.
Cependant, attendez de désespérer à ce sujet, dans cette situation, vous ne devriez pas vous énerver et baisser le nez! Les concepteurs et les géologues auront besoin de levés géodésiques.
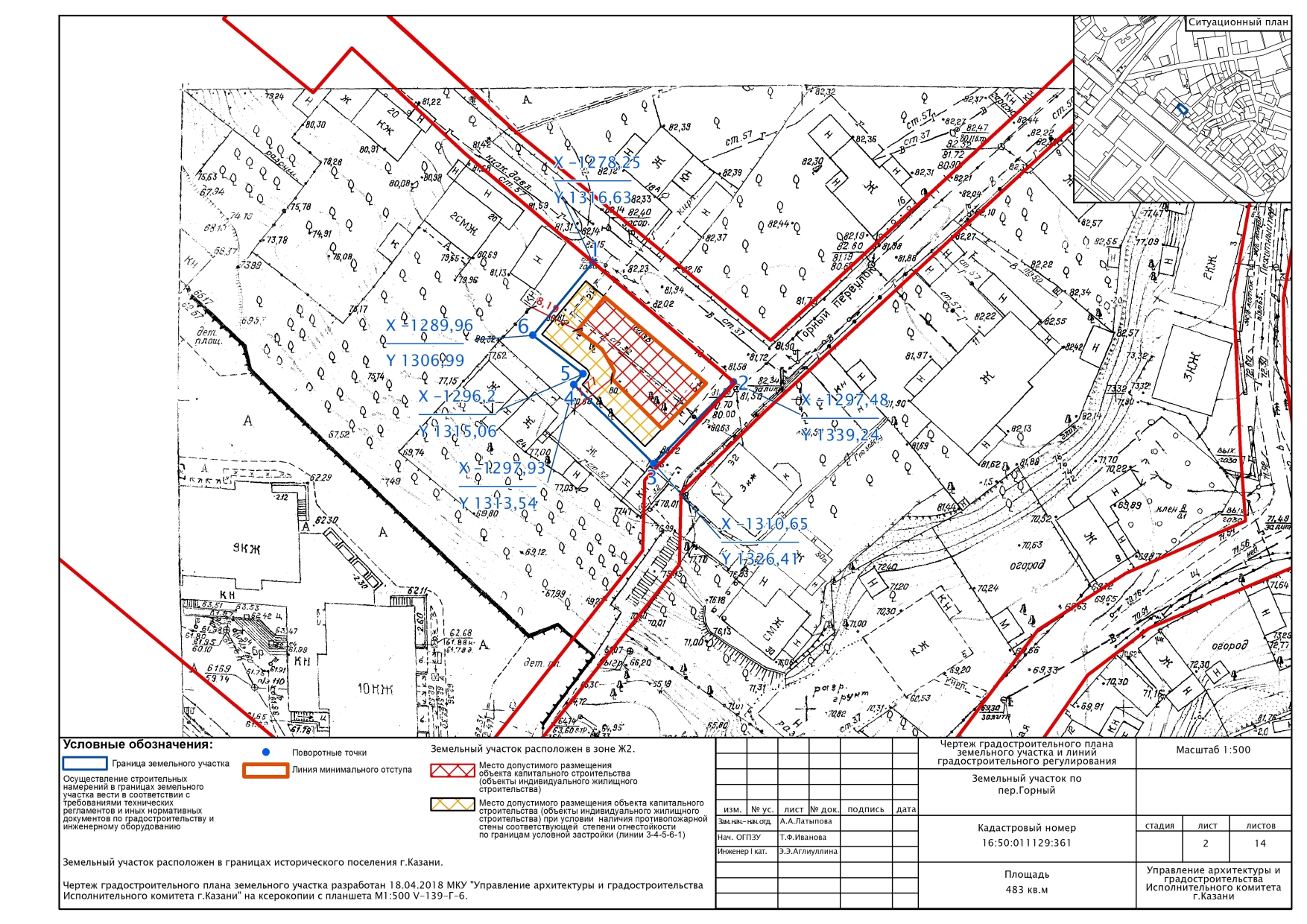
Le plan de situation de l'objet est un schéma montrant l'emplacement de l'objet au sol avec référence obligatoire aux routes, aux bâtiments les plus proches, aux objets fabriqués par l'homme, aux routes, etc. La base de ce plan est un relevé topographique du territoire, indiquant toutes les structures disponibles et établissant la taille exacte.
Plan situationnel de localisation du terrain
Les autorités officielles ne prennent pas d'argent pour la prestation de services pour l'élaboration d'un plan de situation ; conformément à la loi, aucun paiement n'est prévu. Si, pour une raison quelconque, ils ne peuvent pas fournir un tel document, vous devez contacter des entreprises privées.
Dans n'importe quelle situation, une personne a toujours le choix. S'il n'a pas le temps et l'envie d'attendre un mois entier pour l'examen de la candidature, vous pouvez essayer d'établir vous-même un plan de situation.
Plan de situation pour le raccordement à l'électricité - échantillon et essence
Le plus souvent, il est conseillé aux consommateurs de présenter les documents en personne au bureau de l'entreprise fournisseur. Cependant, cette méthode ne sera pertinente que si vous avez besoin d'être conseillé ou de résoudre un problème lié à des documents. Dans d'autres cas, vous ne rencontrerez que des inconvénients en raison de l'attente dans les files d'attente.
Dans certains cas, il est demandé aux entreprises de fournir un calcul détaillé de la puissance nominale du système afin d'obtenir une justification. Des conclusions concernant la possibilité d'une connexion sûre, qui sont formées par un ETL mobile, peuvent également être nécessaires.
Cependant, il existe également des exigences très spécifiques - en particulier, vous pouvez être amené à fournir un plan de situation pour le raccordement à l'électricité, dont un exemple peut être obtenu auprès des autorités locales.
Il s'agit d'un fragment d'une carte géographique (topographique) ordinaire indiquant les limites du site, ainsi que son numéro, s'il lui est attribué par l'administration de la localité.
Comment faire un plan situationnel d'un terrain pour la gazéification
Examinons quelles autorités sont impliquées dans la conception et la publication d'un plan de situation, quels documents sont nécessaires et comment vous pouvez élaborer de manière indépendante un schéma de situation à l'aide de programmes spéciaux.
Où puis-je avoir
Pour assurer la gazéification du site, un citoyen doit contacter un organisme étatique spécialisé avec le dossier de documents requis, qui doit contenir un plan de situation avec référence à la zone sur papier A4.
Pour obtenir des conseils, vous pouvez contacter l'autorité locale où se trouve le lotissement.
Vidéo : plan de situation
Les employés de l'autorité vous indiqueront auprès de quelle entreprise particulière vous pouvez commander un plan de situation pour le terrain spécifié.
Pour obtenir un schéma de situation, vous devez connaître les coordonnées exactes et les contours du site. Si vous ne connaissez pas les coordonnées, il y a deux façons de sortir de la situation :
| Faites appel à une entreprise d'architecture spéciale | Dont les spécialistes pourront effectuer des mesures ponctuelles et former un plan à l'échelle 1:2000 |
| Auto-compilation d'un schéma de situation en ligne | Avec l'aide de logiciels spécialisés.La base peut être des images satellites à haute résolution et précision |
Des certificats spéciaux ou des demandes du service de gaz ne sont pas nécessaires, car les spécialistes autorisés disposent des données nécessaires à la gazéification.
Cependant, s'il n'est pas prévu de conduire des réseaux de gaz dans un proche avenir à l'adresse indiquée, le citoyen peut se voir refuser un refus justifié de conduire du gaz vers son site.
Cependant, même ici, des problèmes de conception peuvent apparaître s'il n'y a pas de lien entre le plan et la zone. Cela se produit dans une situation où la zone ou la zone environnante n'est pas du tout gazéifiée.
Quels sont les documents nécessaires
Avec un appel personnel, il est facile d'obtenir auprès du MFC ou autre autorité locale un plan situationnel d'un terrain à gazéifier par numéro cadastral.
Cela nécessite les documents suivants :
| Demande indiquant le numéro cadastral de la parcelle | Vous pouvez obtenir un formulaire et un échantillon de remplissage sur place |
| Passeport personnel d'un citoyen de la Fédération de Russie; | — |
| Certificat de propriété du terrain | Soit une attestation du registre unifié, selon la date d'acquisition de la propriété du terrain |
| Certificat d'enregistrement d'état du site | — |
Exemple de remplissage
Le remplissage du plan de situation s'effectue généralement selon un formulaire standardisé. Ci-dessous vous pouvez voir un exemple de remplissage et le contenu du plan situationnel pour la gazéification du site :
- le nom d'un objet particulier, les caractéristiques des bâtiments sur le site ;
- adresse spécifique et exacte de l'objet;
- quartier et quartier de l'emplacement du site;
- le demandeur, son nom complet (seule une personne physique peut agir en tant que demandeur) ;
- il est nécessaire d'indiquer l'objet du plan (par exemple, la nécessité de conduire du gaz à usage domestique);
- puis une copie pré-faite du plan de situation est fournie et soumise à l'autorité compétente pour la gazéification.
Comment postuler en ligne
Il arrive souvent qu'un citoyen souhaite établir lui-même un plan de situation, sans postuler et sans faire la queue auprès de diverses autorités.
Souvent, les citoyens essaient de télécharger en ligne un schéma de situation prêt à l'emploi d'un site selon son code cadastral. Cependant, de telles informations et plans à l'échelle 1:2000 n'existent pas sur les ressources publiques gratuites ; de tels plans ne peuvent être obtenus que moyennant paiement.
Une autre option est possible - utiliser des images de satellites sur les ressources Yandex ou de Google Maps, puis appliquer indépendamment les limites et les contours de votre site à ces images.
Cependant, il n'est pas toujours possible d'assurer l'exactitude maximale de ces données. La plupart des entreprises qui s'occupent de la gazéification des sites n'acceptent pas de tels plans de situation. Cependant, chaque cas est examiné au cas par cas.
Également sur Internet, vous pouvez trouver un logiciel qui vous permettra de créer un plan situationnel de votre site sur votre ordinateur.
Un tel schéma sera légèrement différent de celui qu'un géomètre professionnel élaborera, mais des compétences techniques particulières seront nécessaires pour l'élaborer.
Donc, nous avons déterminé quel est le schéma situationnel pour la gazéification sur votre terrain. Vous savez maintenant où demander son exécution, quels documents vous devez collecter avant cela.
De plus, si vous le souhaitez et avez des compétences en informatique, à l'aide d'un logiciel spécial, vous pouvez établir indépendamment un plan de situation avec une grande précision.
Plan situationnel de localisation du terrain
Le plan de situation, malgré la complexité de l'expression, est un concept assez élémentaire - il s'agit d'un schéma d'une structure spécifique, dans d'autres cas, de tout l'environnement environnant, réalisé exclusivement d'en haut. C'est-à-dire un plan détaillé du bâtiment avec la zone environnante, qui peut être vu comme s'il était vu à vol d'oiseau.
Bien sûr, dans ce cas, plus d'une page sera endommagée et de nombreuses cellules nerveuses mourront irrémédiablement, mais pour simplifier le processus, vous pouvez d'abord dessiner un schéma approximatif, pour ainsi dire, une version préliminaire, et plus tard, lorsque toutes les dimensions sont clarifiés, faire la version finale.
Les documents
La réception d'une coentreprise sera précédée d'une demande de préparation, qui, à son tour, nécessitera la fourniture d'un certain ensemble de documents:
- Passeport ou autre document attestant l'identité du demandeur d'enregistrement du plan. Si le demandeur est un avocat personne, vous devrez également fournir une attestation d'état. enregistrement;
- Documents concernant le site, confirmant la propriété du demandeur ou de la personne (organisation) dont il représente les intérêts ;
-
Une application qui reflète les demandes de formation d'un plan.
Les documents doivent être fournis directement par la personne qui a le droit de posséder le terrain ou par une personne représentant ses intérêts, mais avec la présence obligatoire d'une procuration notariée.
Lors de la soumission de la documentation nécessaire, une attention particulière devra être portée à la préparation de la candidature.Dans son texte, vous devrez spécifier les données suivantes :
- Nom complet du demandeur ou nom de l'organisation ou de l'entreprise ;
- Lieu d'enregistrement (pour les particuliers, l'adresse réelle, pour les personnes morales - l'adresse légale enregistrée de l'organisation);
- Coordonnées pour la possibilité de communication avec le client. Fournissez généralement un numéro de téléphone;
-
L'endroit où se trouve le terrain, qui subira des changements - reconstruction ou ajout de structures et de terrains qui s'y trouvent;
- La zone du site, que le demandeur a le droit d'utiliser conformément aux documents confirmant le droit de propriété ;
- La zone du chantier où seront réalisés les travaux ;
- Catégorie d'utilisation autorisée. Ce fait est particulièrement important, car si le type de site ne correspond pas aux actions que le demandeur souhaite y entreprendre, alors les actions ultérieures (conception, etc.) ne seront pas réalisées ;
- Le but pour lequel la personne ou l'organisation reçoit le plan.
Dans certaines situations, les citoyens et les organisations peuvent se voir refuser un plan. Ces cas peuvent inclure :
- Rédaction d'une candidature sans tenir compte de ses exigences (indication de la liste non complète des données, signature dans la candidature d'une personne non liée à ce site et procuration pour représenter les intérêts);
- L'absence d'une liste des documents nécessaires ou la fourniture de documents contenant de fausses données.






















